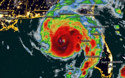
Μεγάλα προβλήματα στην Φλόριντα των ΗΠΑ από τον τροπικό κυκλώνα Ιντάλια.
Ο ισχυρος τροπικος κυκλωνας του βορειου Ατλαντικου(hurricane) Ινταλια, εφτασε στην βορειοδυτικη Φλοριντα στις ΗΠΑ οντας τροπικος κυκλωνας κατηγοριας 3, προκαλωντας μεγαλα προβληματα, με τους ισχυρους ανεμους του μεσης εντασης κατα το landfall 201.2 km/h, […]
